About MLS® E4457513
Brokerage Name:
Century 21 Smart Realty
Agent Name:
Alamgir Hossain
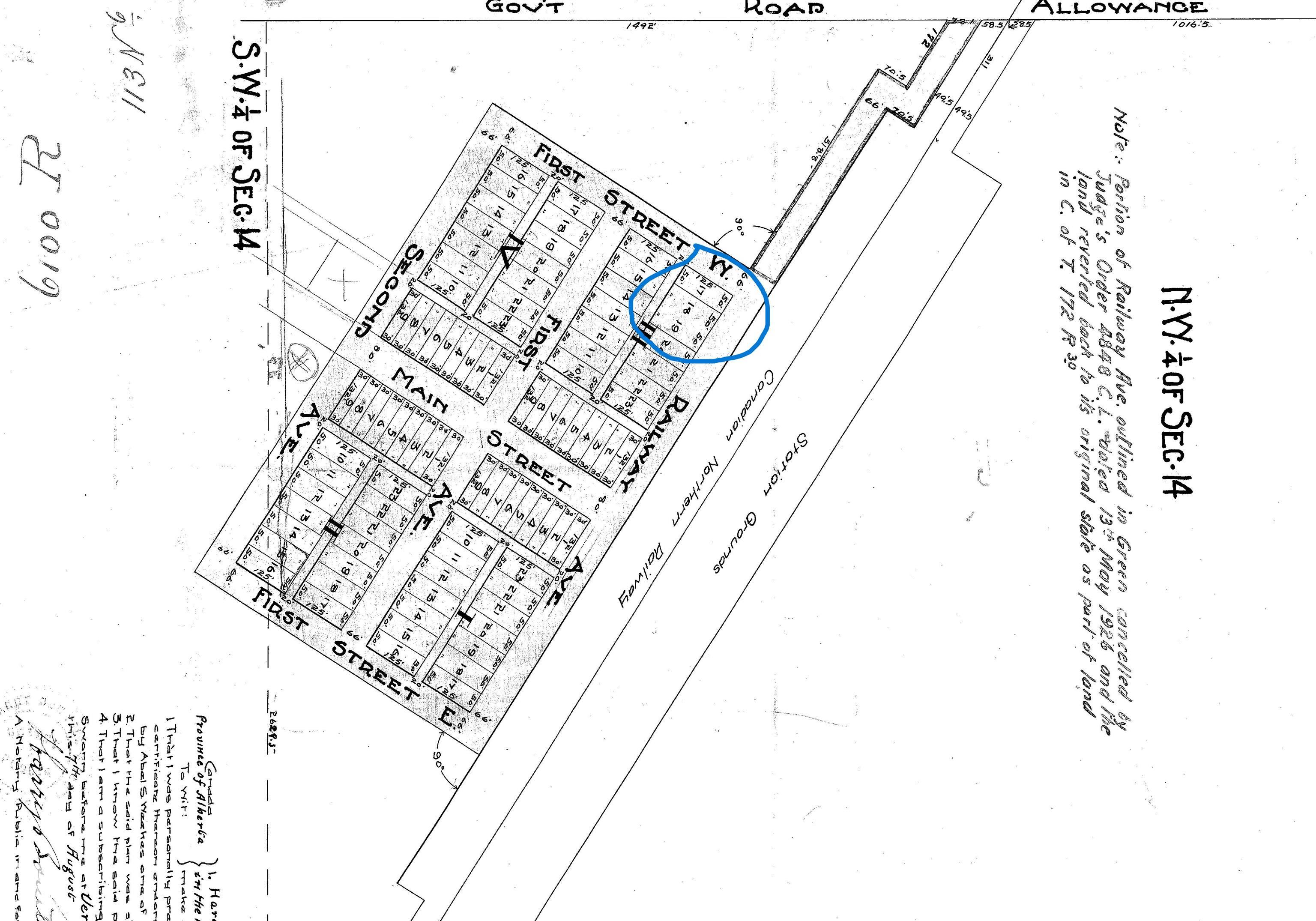
3 Lots in Minburn – Build or Invest! An excellent opportunity to own three adjacent lots (each 50’ x 125’) in the quiet community of Minburn. Together, the parcels provide a generous 150’ x 125’ site — offering plenty of room to build multiple homes, a large residence with garage and yard space, or to hold as a smart investment for the future. Municipal services available nearby. Peaceful small-town setting with quick access to Hwy 16. Just minutes from Vegreville and under an hour from Edmonton Whether purchased individually or as a package, these lots offer flexibility for builders, investors, or buyers seeking extra space in a welcoming rural community.
Key Details
| MLS® # | E4457513 |
|---|
| Price | $21,000 |
|---|
| Property Type | Residential |
|---|
| Subtype | Vacant Lot/Land |
|---|
| Zoning | Zone 80 |
|---|
| Ownership | Private |
Location Information
| Address | Lot 17-19 Block 3 |
|---|
| Community | Minburn |
|---|
| City | Minburn |
|---|
| Province | AB |
|---|
| Postal Code | T0B 3B0 |
Features & Amenities
- Corner Lot
- Flat Site
- Level Land
Map Location