About MLS® E4466767
Brokerage Name:
RE/MAX Excellence
Agent Name:
Judith A Rimmer
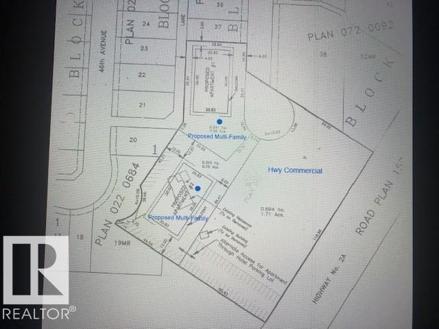
Property is 3.26 Acres with proposed and approved rezoning for Hwy Commercial and Multifamily use. Locked gate off of Hwy 2A. Proceed to 4408-44 Street and enter from cul-de-sac. Large 2272 sq.ft home with double garage is ideal living until property is developed. Being the Seller has not lived in the home; it is being sold 'As Is'.1.71 Acres is zoned for Hwy Commercial; and balance of 1.55 Acres is zoned for R-3 Multi-Family. Innisfail town park borders this property; adding to the value for Multi-family development. All permits and plans are included in the Purchase Price.
Key Details
| MLS® # | E4466767 |
|---|
| Price | $1,299,000 |
|---|
| Bedrooms | 4 |
|---|
| Bathrooms | 2.5 |
|---|
| Square Footage | 2272.39 |
|---|
| Property Type | Residential |
|---|
| Subtype | Detached Single Family |
|---|
| Year Built | 1966 |
|---|
| Zoning | Zone RUR6 |
|---|
| Ownership | Private |
|---|
| Direction Faces | Southeast |
Location Information
| Address | 4213 42 AV |
|---|
| Community | Highway 2A |
|---|
| City | Innisfail |
|---|
| Province | AB |
|---|
| Postal Code | T4G 1Y1 |
Features & Amenities
- Dishwasher-Built-In
- Dryer
- Garage Control
- Garage Opener
- Refrigerator
- Stove-Electric
- Washer
- Curtains and Blinds
- Commercial
- Playground Nearby
- Subdividable Lot
- See Remarks
- Forced Air-1
- Natural Gas
- Concrete Perimeter
- Asphalt Shingles
- See Remarks
- Double Garage Attached
- Insulated
- RV Parking
Map Location