About MLS® E4470345
Brokerage Name:
RE/MAX PREFERRED CHOICE
Agent Name:
Matthew Roth
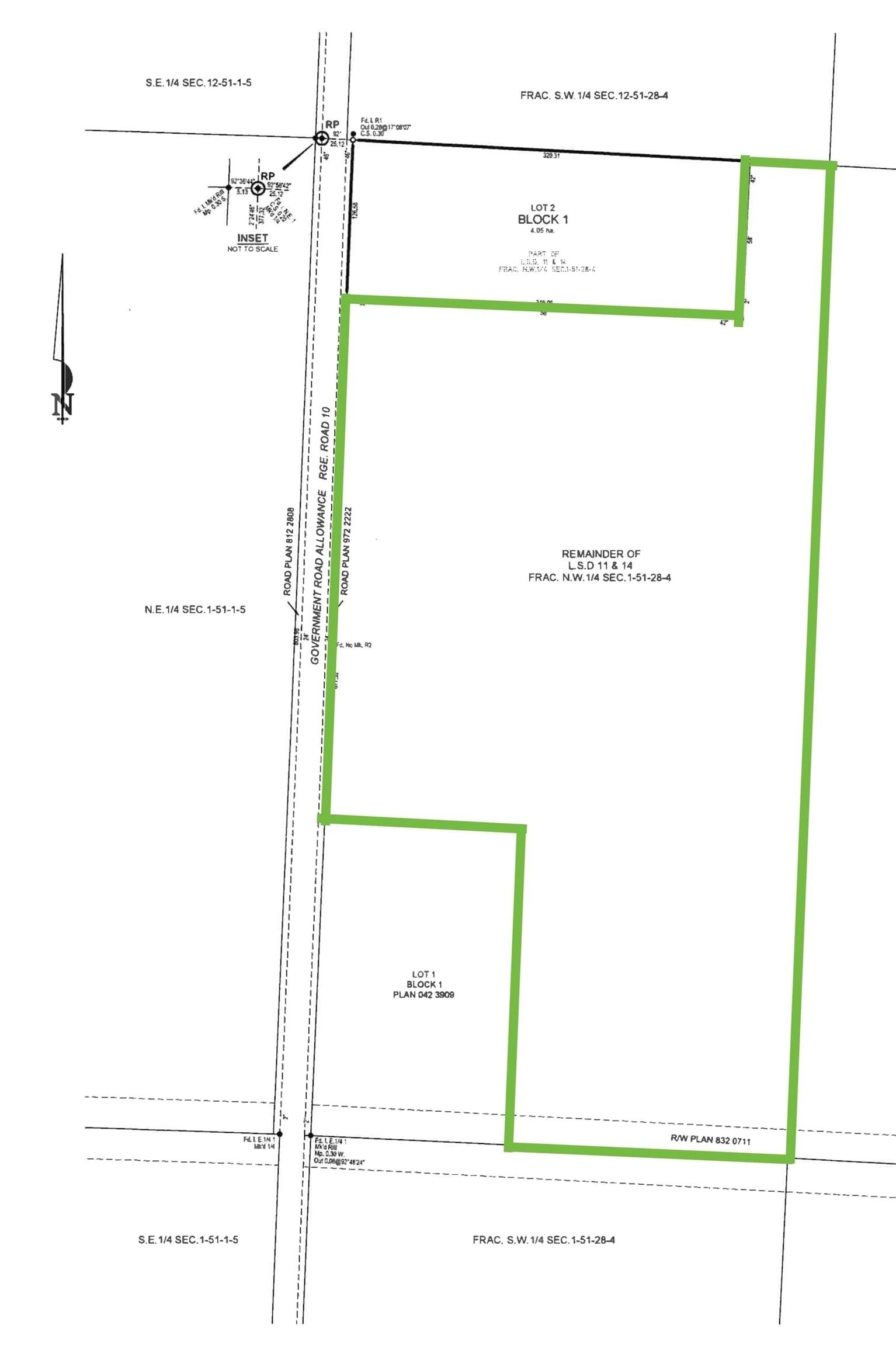
56 acres located straight south of Stony Plain on a paved school bus route, offering incredible sunsets and wide-open country views. Cleared, fenced, and gently rolling, this beautiful parcel features a seasonal stream that winds through the centre of the land, feeding a dugout along the way. The north and southeast corners offer higher ground, with the northeast portion previously used for hay. Currently used as pasture, but offers an excellent opportunity to build your dream home and enjoy peaceful rural living with convenient access to town amenities. Just 15 min to Stony Plain and 18 min to Spruce Grove. Nat gas and pwr are available at the road. This parcel is currently being subdivided, with completion expected by March 20. Picture #4 shows the property line in green with the seasonal stream in blue and high spots marked in brown. Parcels this size are getting hard to find. Come walk the land and see the potential first hand. Note Separate 10 acre property attached to this parcel is also for sale.
Key Details
| MLS® # | E4470345 |
|---|
| Price | $369,000 |
|---|
| Property Type | Land |
|---|
| Subtype | Vacant Lot/Land |
|---|
| Zoning | Zone 90 |
|---|
| Ownership | Private |
Location Information
| Address | 51023 Range Road 10 |
|---|
| Community | None |
|---|
| City | Rural Parkland County |
|---|
| Province | AB |
|---|
| Postal Code | T7Y 2A2 |
Features & Amenities
Map Location